/ 3
$90,000
242 area Radford Road #1
Mars Hill, NC 28754
Active
5 days on market
Property Type
Land
Year Built
—
Lot Size
—
Garage
—
About This Property
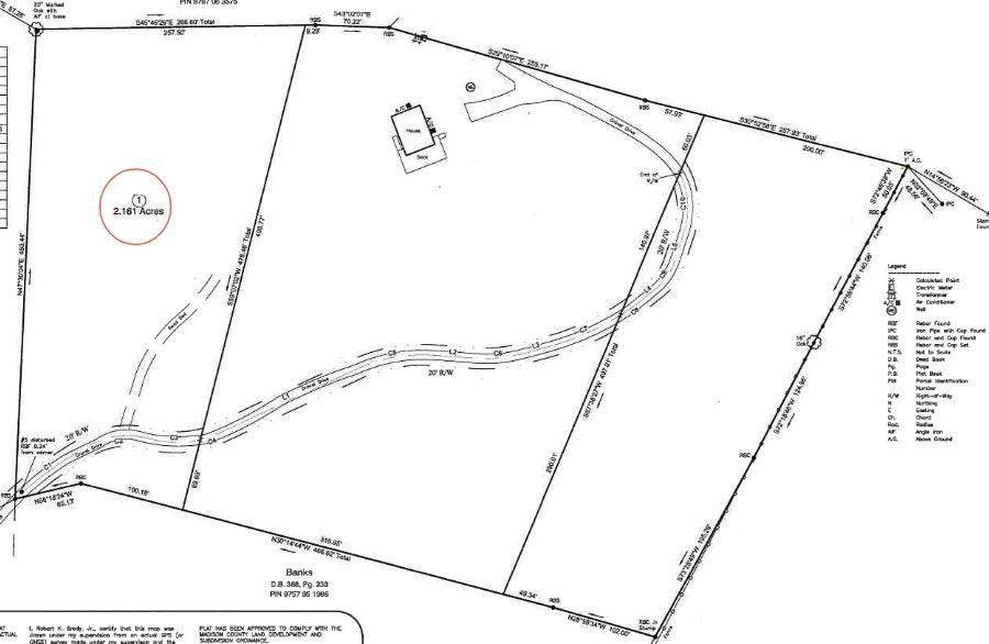
Veer off California Cr Rd down private Radford Rd stay between two small sheds and meander along flat road next to long grassy meadow and end at seller's gate on left. Lot 1 begins at the gate and sits to the left of the road and Lot 3 further down as road begins to bend left. Lot 1 2.16 acres. Lots of opportunity for privacy, trees and near mountain views. Topography is sloping with near mountain winter views. Great, easy access to I-26, Mars Hill, Hatley Point, Burnsville, Asheville. Seller retaining interior 4.00 acres and selling off side parcels (Lot 1 & 3). Seller to restrict: no mobiles, one house per lot and shared road maintenance.
Property Details
Interior
Exterior & Lot
Location
- Subdivision
- None
- County
- Madison
- ZIP Code
- 28754
Financial
- Listing Terms
- Cash, Conventional
Utilities
- Utilities
- Cable Available, Fiber Optics, Underground Power Lines, Other - See Remarks
- Sewer
- Septic Needed
Schools
- Elementary
- Mars Hill
- Middle School
- Madison
- High School
- Madison
Lot Features
Private, Sloped, Wooded, Views
Location
Listing Information
- MLS #
- CAR4358127
- Listing Agent
- Cindy Ward
- Listing Office
- Weaverville Realty
- Listed Date
- Apr 14, 2026
Contact Scott Beattie About This Property
Interested in 242 area Radford Road #1? Send us a message and we'll get back to you.